Simplified Reading of Aviation Charts for Legal Balloon Launches

The National Airspace is Complicated (and Beautiful)#

Background and Basic Guidelines#

The National Airspace (NAS) is designed to best accommodate all potential users and therefore has various types of airspace with specific uses and requirements. You will want to plan your high altitude balloon mission so that you DO NOT travel through Class B, C, or D airspace (types of controlled airspace found around many airports); in areas where there are Temporary Flight Restrictions; or in prohibited or restricted areas. This may sound simple enough but it turns out there are many things to consider when reading an aviation chart.

The figure below shows the general shapes of different types of airspace, which seems nice, but once you consider the complications of airspace design you can end up with something that looks like a huge mess to the untrained eye. You might be untrained now, but pretty soon you will be ready to pull the important information right off of the chart.

Visual guide to Airspace Classification in the United States

Visual guide to Airspace Classification in the United States. This is what a perfect(ly boring) world would look like. Class B airspace surrounds major airports and is usually described as an “upside down wedding cake.” Source: FAA Aeronautical Chart User’s Guide

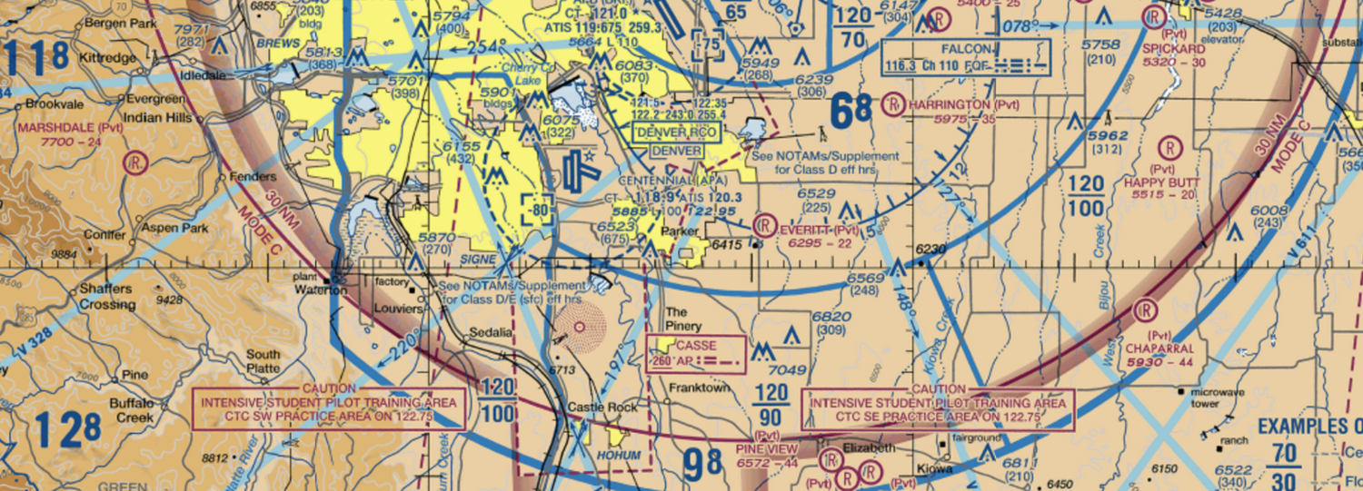
Portion of the Denver VFR Sectional

Screen capture of the Denver VFR Sectional to show you what happens to airspace in the real world. Source FAA VFR Raster Charts

Getting Started with Reading Sectionals#

The simplest and most classic way of identifying the airspace to avoid is by purchasing a VFR Sectional Aeronautical Map for the area you plan to launch. However, since we are now living in the 21st century we also have access to digital versions that are free and instantly available.

Free Digital Sources for VFR Maps#

The website http://vfrmap.com/ is a good place to start because it has a simple, clean format that won’t get you all twisted up when you don’t know exactly what you are doing.

Screenshot of vfrmap.com

Another great option is https://skyvector.com/ , which has the benefit of placing any relevant Temporary Flight Restriction (TFR) right on the map where it applies (these MUST be avoided!). SkyVector has the unique option of selecting just one VFR Terminal Area Chart (TAC, only found near major airports) chart at a time so that there is no possibility of losing information in between charts where they are stitched together.

Screenshot of skyvector.com

A third great option is at http://www.iflightplanner.com/AviationCharts , which displays TFRs and has two ways to ensure that you have made the right airspace classification. In the Layers menu you can select map options that will highlight the classes of airspace that you need to avoid. You can also click on an area of interest and then a pop-up menu will show you all classes of airspace above that point along with the indicated flight levels and extra highlighting when you hover over the airspace section.

Screenshot of iflightplanner.com

Suggested Layer Views for iFlightPlanner.com

Highlight the airspace you should avoid by matching your selections on the website to the image above. Source: iFlightPlanner

Caution: Do not use https://app.airmap.io/ for planning your high altitude balloon launches. The service looks very similar to the services described above but it is specialized for drone operations at low altitudes so it does not include all of the information we need for our purposes.

Understanding the VFR Sectional Legend#

Class B, C, D Airspace and Flight Levels#

There are many (many!) pieces of information in the legend of a sectional chart but we can ignore much of it because we are simply looking to launch balloons in a safe and legal location. Below you will see an excerpt from the VFR lap legend that shows the types of lines used to denote the types of airspace you need to avoid (B, C, and D). Noteworthy Portion of Legend on Denver VFR Sectional

Symbols corresponding to the types of airspace we need to consider when launching a high altitude balloon. Source: FAA Denver Sectional

Flight levels are an important but straightforward concept in the aviation world. Altitude measurements of less than 100 feet are hardly significant in aviation so flight levels are used instead as a more useful measurement. They key to understanding flight levels is to know that they represent an altitude (technically a pressure altitude) in hundreds of feet. For example, the “40” seen in the figure above is Flight Level 40, or FL40, which means 4,000 feet altitude. Commercial airliners commonly fly at altitudes of about 30,000 to 45,000 feet so they would have flight levels ranging from FL300 to FL450.

Avoiding TFRs, NOTAMs, and Restricted Areas#

Identifying Other Airspace to Avoid

Temporary Flight Restrictions (TFRs) and Notices to Airmen (NOTAMs) are always available from the FAA at http://tfr.faa.gov/tfr2/list.html . To make sure you are completely in the clear before your launch you should check for notices in your area.

Restricted areas on a VFR sectional are denoted by a blue comb as seen below. These areas should be avoided altogether in the same way that we avoid Class B, C, and D airspace.

Symbol corresponding to other types of airspace we need to avoid when launching a high altitude balloon. Source: FAA Denver Sectional

Further Reading#

The information provided above is sufficient in most cases, but if you want to learn more for yourself then I highly encourage you to do so!

The FAA has an easily accessed web version of the Aeronautical Chart User’s Guide as well as a PDF version (22 MB) linked to from the same page.